Ibbit
  • Communities
  • Create Post
  • Create Community
  • heart
    Support Lemmy
  • search
    Search
  • Login
  • Sign Up
rssMB to Left News WireEnglish · 5 months ago

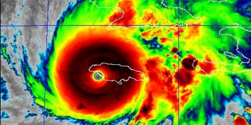
Monster Hurricane Melissa Is Ominous Reminder of Trump's Perilous Climate Policy, Aid Cuts

www.commondreams.org

external-link
message-square
0
link
fedilink
23
external-link

Monster Hurricane Melissa Is Ominous Reminder of Trump's Perilous Climate Policy, Aid Cuts

www.commondreams.org

rssMB to Left News WireEnglish · 5 months ago
message-square
0
link
fedilink
Monster Hurricane Melissa Is Ominous Reminder of Trump's Perilous Climate Policy, Aid Cuts | Common Dreams
www.commondreams.org
external-link
"The Trump administration and its Republican allies in Congress are condemning people around the world to more frequent and severe extreme weather," said one critic.

From Common Dreams via this RSS feed

alert-triangle
You must log in or # to comment.

Left News Wire

lefty_news

Subscribe from Remote Instance

Create a post
You are not logged in. However you can subscribe from another Fediverse account, for example Lemmy or Mastodon. To do this, paste the following into the search field of your instance: !lefty_news@ibbit.at

A leftist newswire providing commentary, opinion, and covering current events of the rapidly changing political and geopolitical economic landscape.

Visibility: Public
globe

This community can be federated to other instances and be posted/commented in by their users.

  • 475 users / day
  • 1.14K users / week
  • 2.46K users / month
  • 6.02K users / 6 months
  • 2 local subscribers
  • 648 subscribers
  • 24.1K Posts
  • 4.78K Comments
  • Modlog
  • mods:
  • rss
  • PhilipTheBucket@piefed.social
  • BE: 0.19.12
  • Modlog
  • Instances
  • Docs
  • Code
  • join-lemmy.org